Collections Item Detail
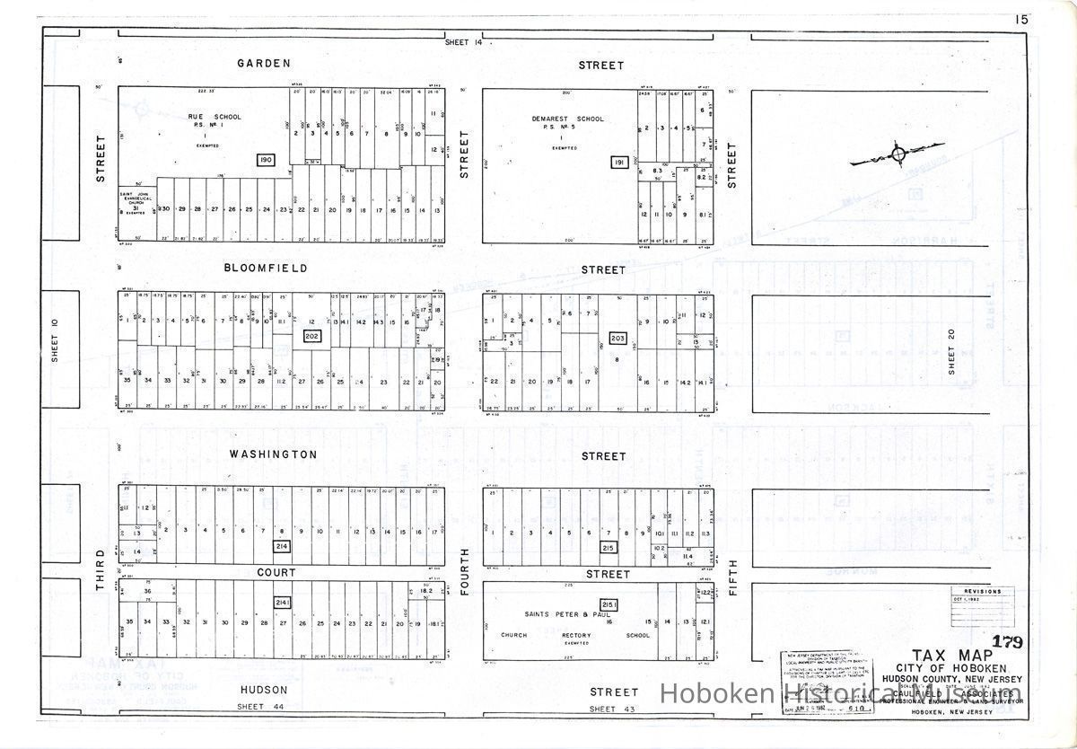
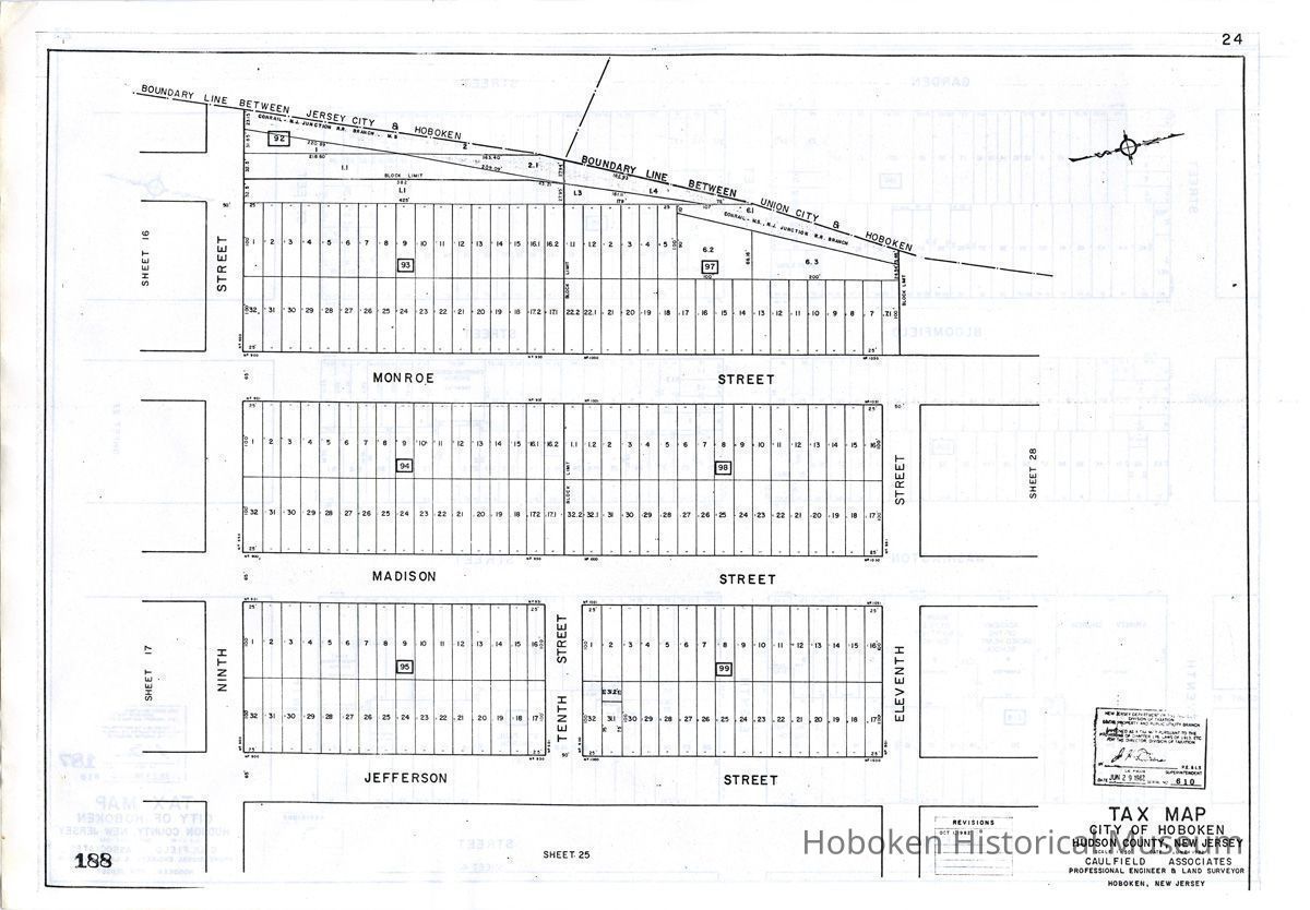
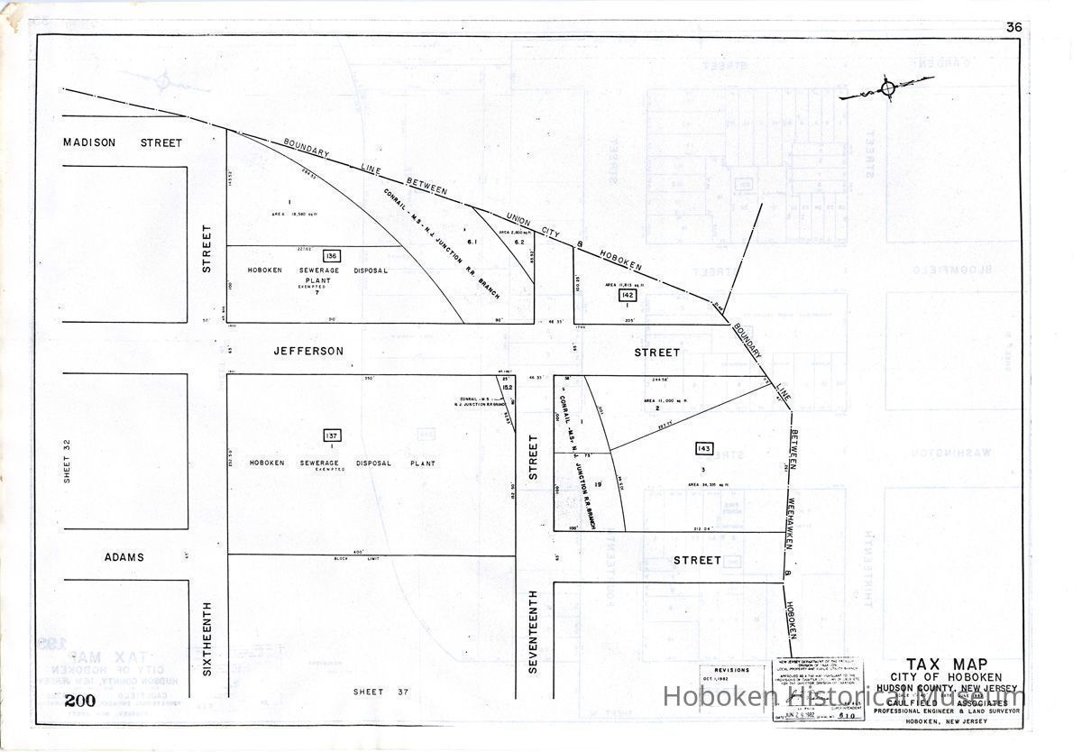
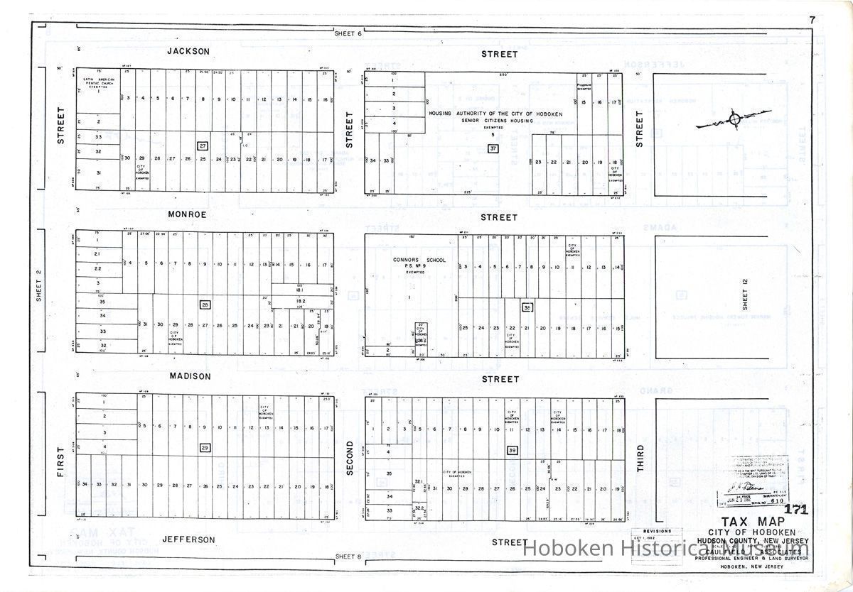
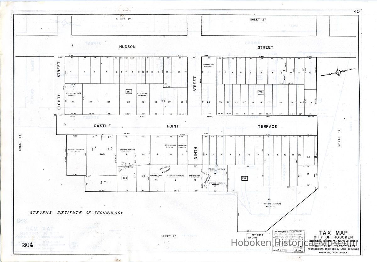
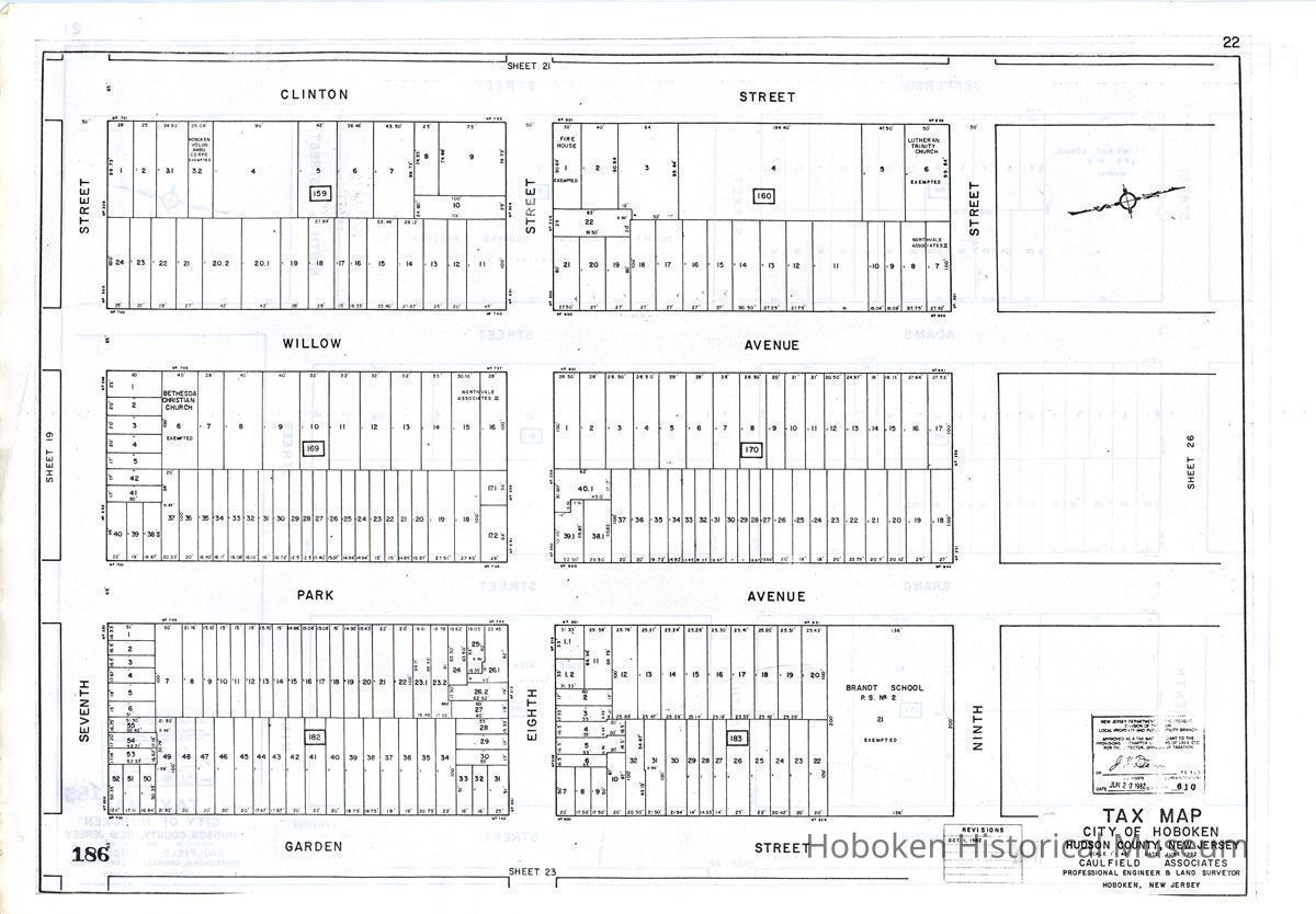
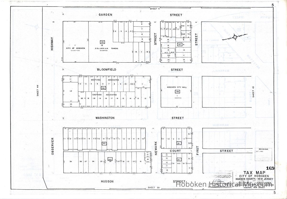
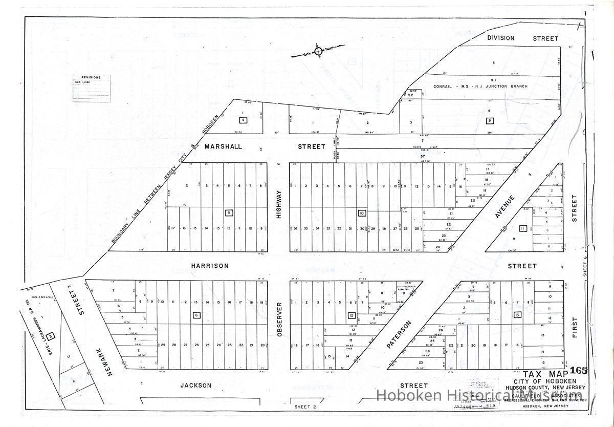
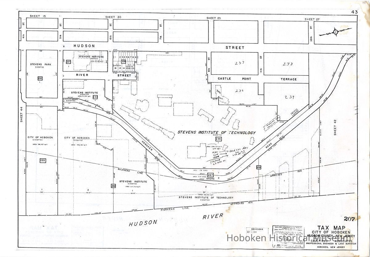
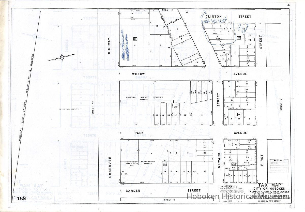
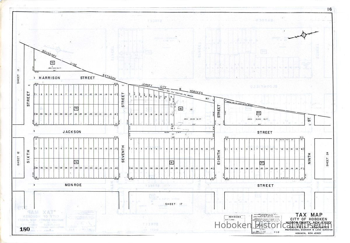
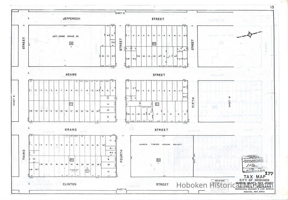
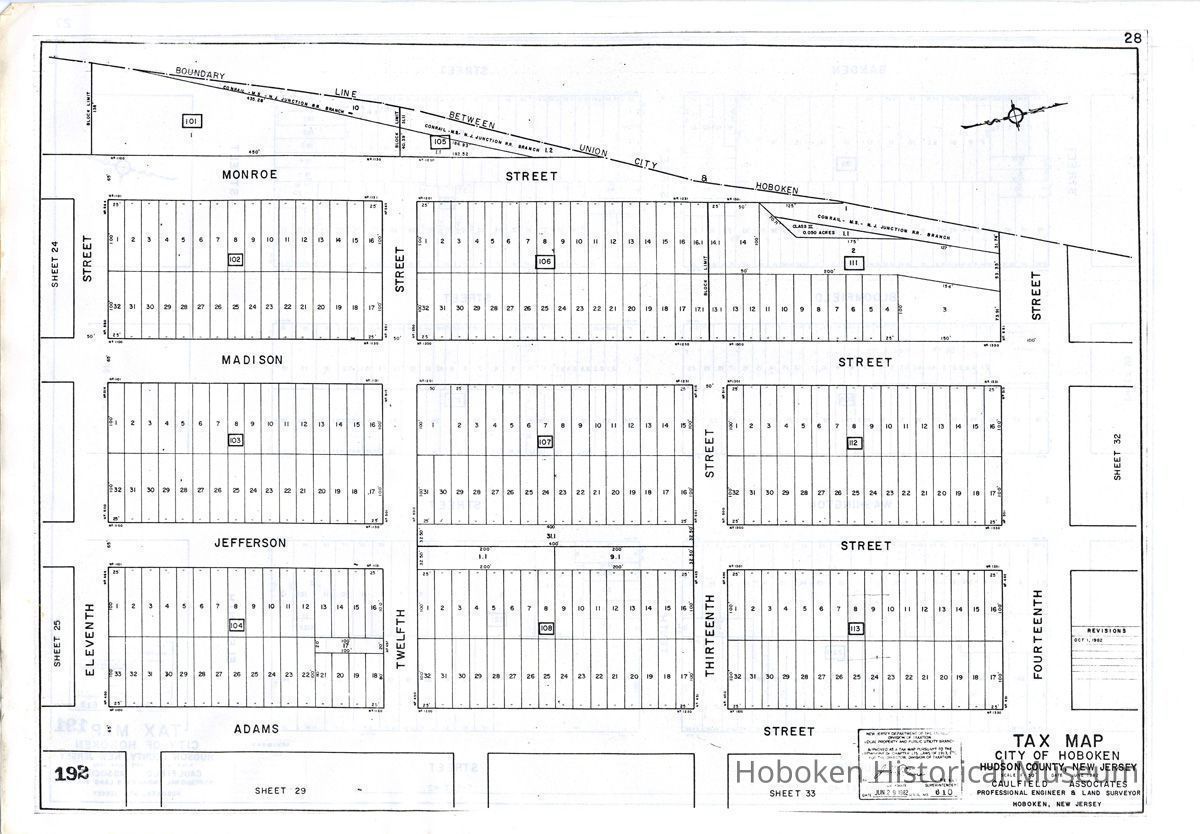
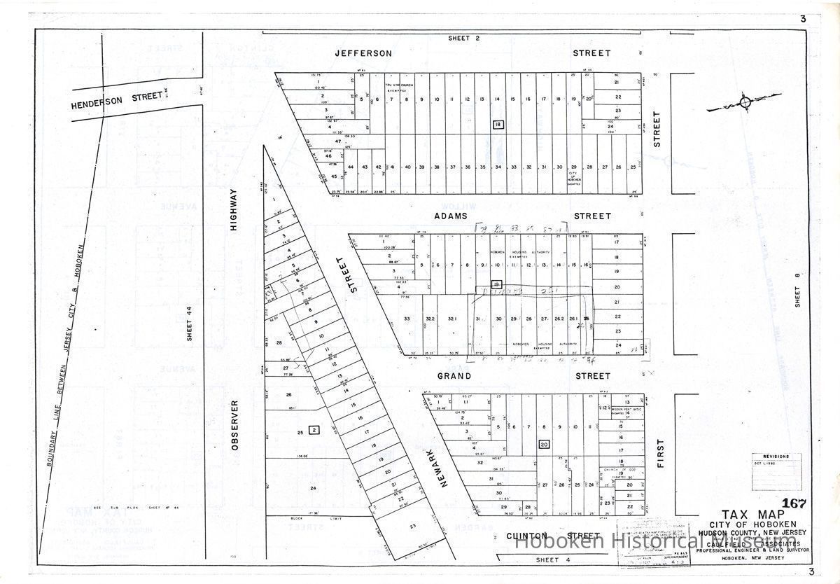
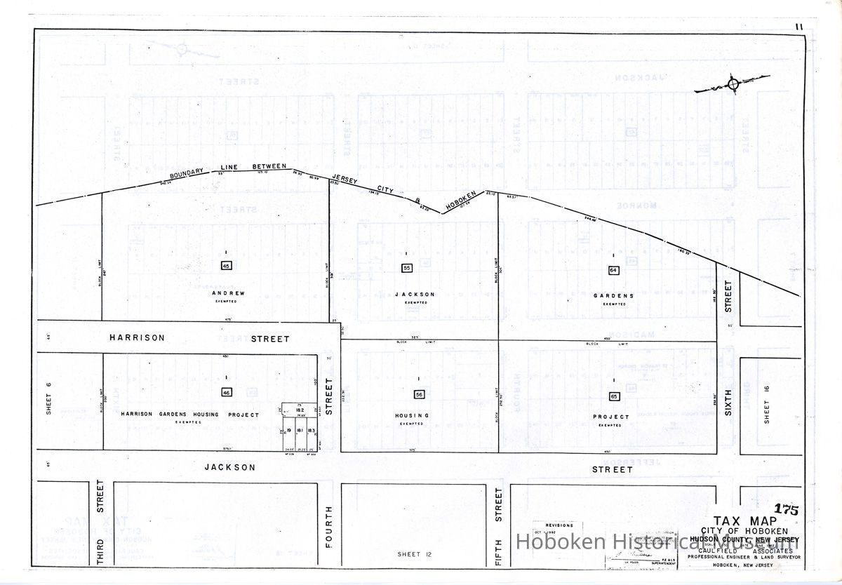
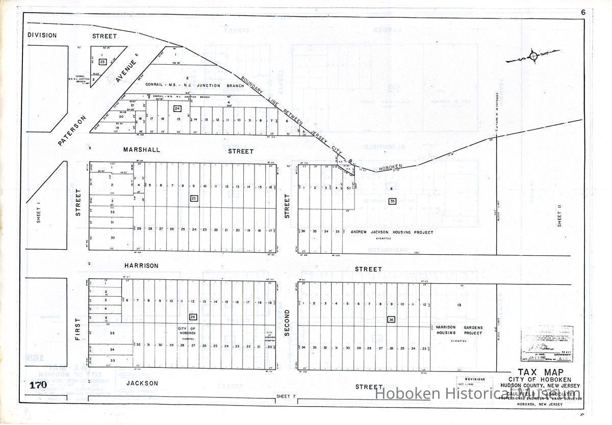
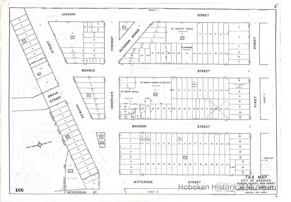
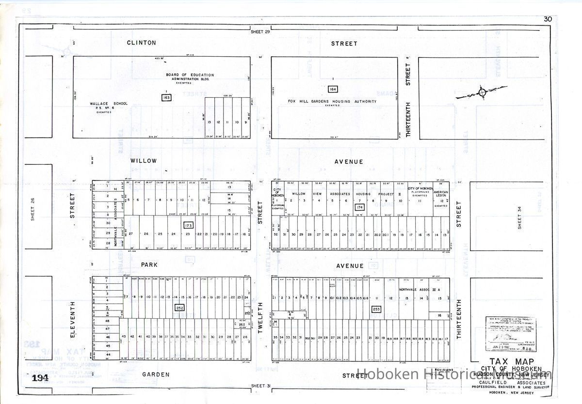
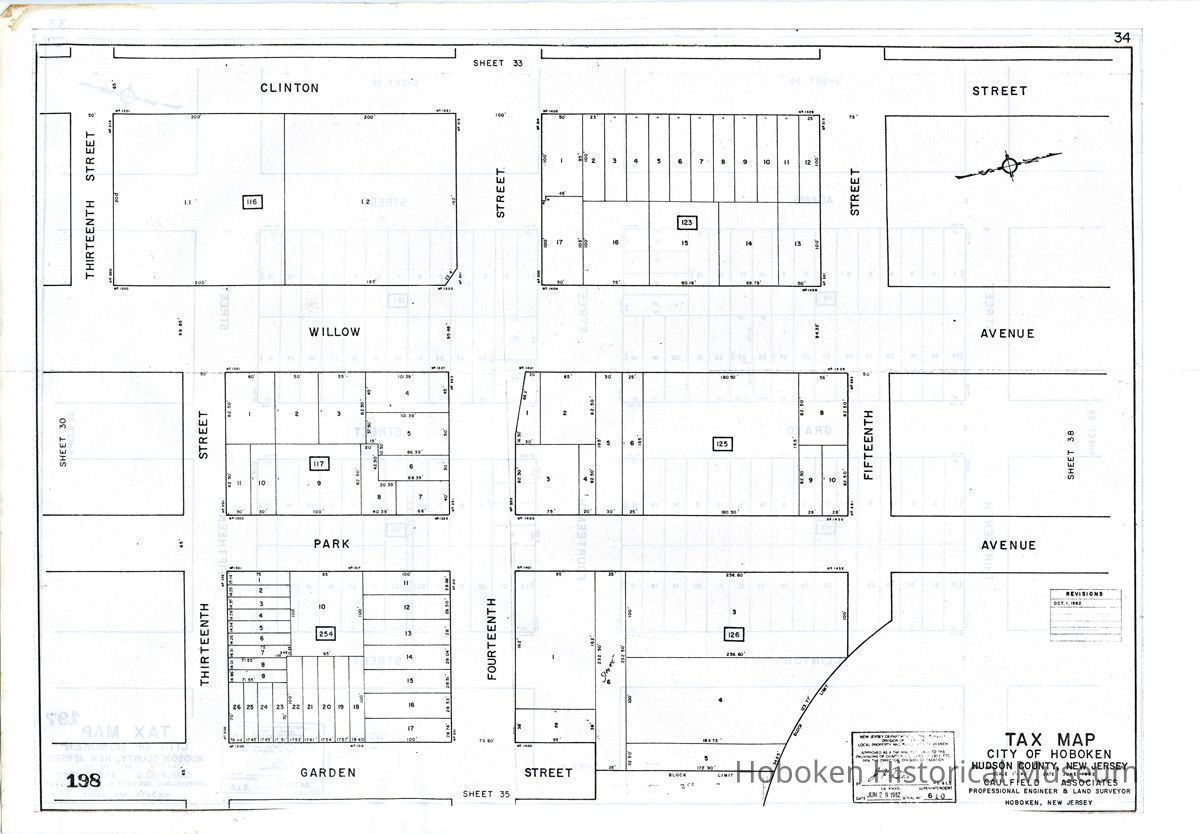
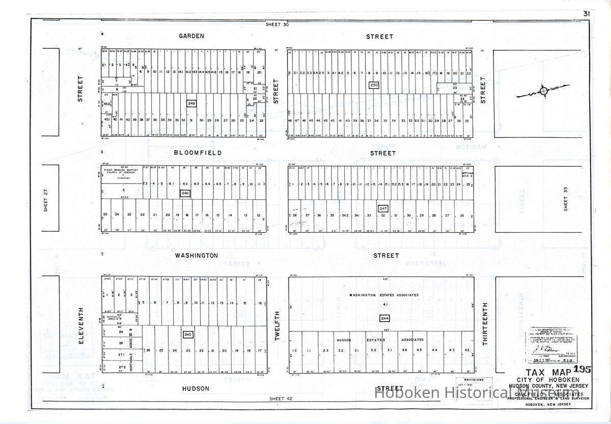
City of Hoboken Tax Map, 1982.
Map
City of Hoboken Tax Map, 1982.
Reduced size copy; 23 sheets, 11" high x 17" wide; three-hole punched on the left edge.
Key map dated 1973 followed by 44 map details. Revisions made October 1, 1982.
PDF on file: small; large
2004.003.0024
2004.003
Found in collection
Found in Collection
Museum Collection.
1973 - 1982
Date(s) Created: 1982 Date(s): 1973-1982 Level of Description: Item
Display Value: Fair Status: OK Status By: dw Status Date: 2004-10-27